1351 S Santa Fe AvenueVista, CA 92084




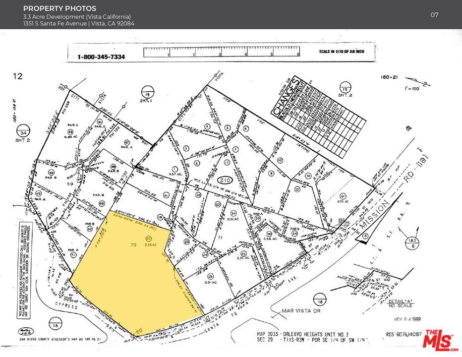
We are proud to exclusively present the Vista California Development located at 1351 S Santa Fe Avenue, Vista, California. This 3.36-acre (146,361 SF) corner parcel, zoned R-M (Medium Density Residential), is prominently situated along the South Santa Fe Avenue Corridor an area undergoing significant transformation under the City of Vista's South Santa Fe Corridor Specific Plan. The property features topography, 290 feet of frontage, and full utility access, creating an ideal foundation for a streamlined and high-quality residential development opportunity. Positioned within a rapidly growing North San Diego County submarket with a population exceeding 100,000 residents, the site sits directly across from a newly completed townhome community and is surrounded by housing, schools, and local retail amenities. Vista continues to experience strong demographic growth, supported by a median household income of approximately $78,800 within one mile, reflecting robust local demand for attainable and modern housing options. The property's R-M zoning offers flexibility for small-lot, townhome, or condominium projects, allowing builders to capture both for-sale and for-rent housing demand. With utilities to the street, no replacement housing requirements, and inclusion in an active redevelopment corridor, the site provides a clear entitlement path and favorable economics for a range of residential configurations. Its strategic proximity to major employment and educational hubs, Kaiser Permanente Vista, Tri-City Medical Center, and California State University San Marcos further strengthens the project's long-term viability and absorption potential. Located minutes from North County Square, Vista Village Center, and LEGOLAND California, the property also enjoys excellent regional connectivity via Highway 78, Interstate 5, and Interstate 15. With its combination of scale, zoning, infrastructure readiness, and prime corner positioning within one of North County's most active residential corridors, 1351 S Santa Fe Avenue represents a premier infill development opportunity offering both immediate feasibility and strong long-term appreciation potential.
| 5 months ago | Listing updated with changes from the MLS® | |
| 5 months ago | Listing first seen on site |
This information is for your personal, non-commercial use and may not be used for any purpose other than to identify prospective properties you may be interested in purchasing. The display of MLS data is usually deemed reliable but is NOT guaranteed accurate by the MLS. Buyers are responsible for verifying the accuracy of all information and should investigate the data themselves or retain appropriate professionals. Information from sources other than the Listing Agent may have been included in the MLS data. Unless otherwise specified in writing, the Broker/Agent has not and will not verify any information obtained from other sources. The Broker/Agent providing the information contained herein may or may not have been the Listing and/or Selling Agent.

Did you know? You can invite friends and family to your search. They can join your search, rate and discuss listings with you.